收藏找回密码QQ登录微信公众号微信交流群

陌上

 找回密码
 立即注册

QQ登录

只需一步,快速开始

微信登录,快人一步

楼主: 陌上尘

(6.10更新)尘尘的铁花锦集 美好回忆 以及一些草花月季

[复制链接]

该用户从未签到

发表于 2015-4-27 21:46 | 显示全部楼层
又来看了下小新大师
  • TA的每日心情
    开心
    2023-5-4 15:51
  •  楼主| 发表于 2015-4-27 22:01 | 显示全部楼层
    本帖最后由 陌上尘 于 2015-4-27 22:03 编辑

    枯萎病 铁线莲的癌症 预防为主 一旦发生不死也会掉半条命



    发生时间一般都会集中在春末夏初以及 秋初 两个时间  


    尤其是小苗 及其容易发生


    我也死了几颗 拍下了简单的照片 大家看下



    对比一下叶子



    1.jpg


    2.jpg


    3.jpg

    铁线莲枯萎发生的时间一般会在中午前后  夏季的大雨后 尤其是太阳雨



    枯萎病 细菌感染 小苗的根茎结合部 发生的几率比较大 以及大苗的底部节点部分



    一般发生的原因就是地表附近的枝条有损伤 其中损伤包括已经有晃动的节点 所以 一般大苗都尽量的少搬动 上面枝条比较多 晃动的力度比较大 会对下面的节点位置产生晃动 使节点拉伤



    细菌滋生感染受伤的地方 细菌侵入 阻碍 水 分以及养料无法顺利达到上面枝条 就会发生上面图上的现象



    和脱水无明显区别 发生这样的现象不要立即采取行动 而是等到傍晚 观察一下 是不是脱水产生的



    确定是枯萎之后 就要检查从枯萎地方一直顺着枝条朝下查看 有没有枝条损伤 一直查看到 这根枝条的最下面的那借点附近 如果么有查看到损伤 就在节点上面剪掉



    看一下剪掉的枝条中间的部分 一般 这个时候 枝条中间还是绿色的  



    继续顺着这个节点朝下 剪到这个节点下的一节 依旧是查看枝条中间的部位 有没有黑点  就这样 一节 一节剪下去  一直到发现中间有黑的地方  



    下图

    4.jpg


    5.jpg


    6.jpg

    我的这个已经么得救了 已经黑到根茎结合部了 所以 就是扔掉的事了


    如果是大苗 下面还有节点 或者只是枝条的一部分枯萎  就要在这个位置的土壤全部换掉 换上干净的素土 并用多菌灵灌溉一次  




    7.jpg

    点评

    我家枯死了两颗小苗,我很喜欢的交响乐啊。。。瑞贝卡和白雪皇后也枯了,不过又发出芽了。  发表于 2015-5-4 11:06
    强  发表于 2015-4-30 13:35
    昨晚下了一场大雨,约瑟芬小苗中招了,估计完蛋了  发表于 2015-4-29 19:40
    强  发表于 2015-4-28 05:46
    技术贴啊啊  发表于 2015-4-27 22:17

    评分

    4

    查看全部评分

  • TA的每日心情
    开心
    2023-5-4 15:51
  •  楼主| 发表于 2015-4-27 22:04 | 显示全部楼层
    枯萎病如何预防  通常都是定时用多菌灵灌根  其实 最关键的问题不在灌根杀菌 而是在于细菌滋生的地方


    介质 就是种植铁线莲的土壤


    一个要好的朋友的发现 和 他自己的实践 让他在一年之内都没发生枯萎 无论是大苗还是小苗


    介质的 酸碱性  只要使介质达到一定的碱性 就会杜绝 或者大量减少枯萎病的发生


    个人推荐 在介质种加入 木炭 草木灰 稻壳灰 这些具有碱性的物质


    细菌无法繁殖后代 铁线莲喜欢碱性土壤


    关键的是通风是附加条件


    个人观点 欢迎提出异议 你我共勉


    点评

    学习了  发表于 2015-6-8 11:10
    不错不错加点那蜂窝煤渣  发表于 2015-4-30 13:36
    这个对我真有用  发表于 2015-4-29 20:13
    我家小苗有一棵枯萎了,回家抓紧上点稻壳炭去。  发表于 2015-4-29 10:52
    学习了 ~  发表于 2015-4-29 09:35
    受益匪浅。。。。。  发表于 2015-4-28 21:54
    学习了  发表于 2015-4-28 14:45
  • TA的每日心情
    开心
    2023-5-4 15:51
  •  楼主| 发表于 2015-4-27 22:29 | 显示全部楼层
    顺便说一下本人两三年以来种铁的一点小发现


    二类 需要的是枝条 枝条越多 开花就越多


    可是小苗要怎么修剪才能多发生分支呢


    仅仅对于有花苞的小苗来说 没有花苞的 要么是消苞 营养不良 或者 是没有形成花苞 就会一直长枝条 (我喜欢后者 嘿嘿)


    有的朋友会在花苞刚开始形成的时候就会剪掉花苞


    以为这样可以促使小苗分支 这样的做法会有两个后果 其中一个就是我们想象的那个样子 分支


    另外一个就是僵苗 你说这个玩意你僵苗就僵吧 三天五天 十天八天 都等的起  


    我的钻石 去年我给剪掉花苞 一直僵苗到今年春天  (冬天没有叶子 不算 嘿嘿)


    心疼吧 一年就春天长两节 剩下半年都在睡觉 小铁不着急啊 我们很着急


    没办法 我们也只能顺着植物的意愿吧


    不过 我发现一个好的现象 以及促使她分支的一个好办法


    那就是让她自己分支 (这句话好像是废话)


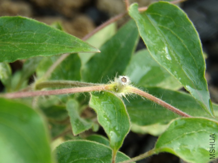
    先看看下面两张图 顺便找一下有什么不一样的地方


    3.jpg 4.jpg

    花苞下面的叶芽位置 明显的有鼓起来的一个点 我叫他预备芽点


    很明显 上图已经被我剪掉花苞的这个 叶芽位置有明显的芽点萌发的前兆啊  我剪掉之前就有的想象 不是剪掉之后才有的


    下面这个图 很明显吧 一个品种 却像是太平公主一样平  所以 我就没有剪掉  剪掉就可能会僵苗  可以等一段时间  等花开 再减掉残花 那时候就会有很大的几率自己分支的 (也是废话)


    提前观察一下 提前剪掉花苞 可以得到百分之五十的发芽率


    剪掉残花之后 又可以得到未知发芽率的一半百分之二十五


    加起来的总和就是百分之七十五的分支抽条率


    是不是很无聊啊 哈哈


    然后 我们看看效果图吧

    1.jpg 2.jpg


    都是被剪掉半个月的花苞的下面第一节 左面有分支的就是去年僵苗近一年的钻石


    右边是 我等的不耐烦了的又买了的一颗的钻石


    同样的时间剪掉的 区别就在于 一个有预备芽点 一个没有


    一个顺利抽条 一个僵苗


    仅仅是自己养花玩的无聊 仅供参考

    点评

    确实是技术贴  发表于 2015-4-30 13:37
    我的钻石也是剪掉花苞后这样僵了,泪奔!!!  发表于 2015-4-29 19:47
    确实是这样,我买了棵重瓣皇帝,来时就四五个花苞,结果听花友说二类连开花太早容易死,所以一下子全剪了,到现在一个新的小枝都没有,估计真是要等到明年春天了  发表于 2015-4-29 18:50
    我一会儿回去试!  发表于 2015-4-29 16:43
    我的蓝光看完初花后就僵住了~我慢慢等  发表于 2015-4-29 10:54
    额,我真蠢,尘尘是说牙点不饱满或没有时不要手贱哈  发表于 2015-4-29 06:27
    尘尘是说残花都不必剪么  发表于 2015-4-29 06:24
    学习了  发表于 2015-4-28 14:46
    详细学习了枯萎病的缘由。正好请同事帮我带草木灰,为马上到来的2颗小苗预备着。  发表于 2015-4-28 14:10
    这个值得借鉴。真心可以试试。  发表于 2015-4-28 14:03

    评分

    2

    查看全部评分

  • TA的每日心情
    开心
    2020-4-23 19:16
  • 发表于 2015-4-27 23:44 来自手机 | 显示全部楼层
    能在论坛见到一位老乡,真的很开心!邳州能有如此高手,找机会拜访
  • TA的每日心情
    开心
    2020-4-23 19:16
  • 发表于 2015-4-27 23:47 来自手机 | 显示全部楼层
    还是粉香槟好看
  • TA的每日心情
    开心
    2020-4-23 19:16
  • 发表于 2015-4-27 23:53 来自手机 | 显示全部楼层
    能在论坛见到一位老乡,真的很开心!邳州能有如
  • TA的每日心情
    开心
    2020-4-23 19:16
  • 发表于 2015-4-27 23:55 来自手机 | 显示全部楼层
    来学习的
  • TA的每日心情
    开心
    2020-4-23 19:16
  • 发表于 2015-4-27 23:58 来自手机 | 显示全部楼层
    看了n遍了,忍不住还想看

    点评

    不能连刷屏哦  发表于 2015-4-28 09:38
  • TA的每日心情
    开心
    2020-4-23 19:16
  • 发表于 2015-4-28 00:08 来自手机 | 显示全部楼层
    能不能给我留个qq呀,我的是415133688
    您需要登录后才可以回帖 登录 | 立即注册 |

    本版积分规则

    QQ|手机APP|手机版|小黑屋|Archiver|陌上花 ( 京ICP备14018705号-11 )|网站地图

    GMT+8, 2025-11-25 18:58 , Processed in 0.046937 second(s), 16 queries , MemCached On.

    Powered by Discuz! X3.4

    © 2001-2023 Discuz! Team.

    快速回复 返回顶部 返回列表